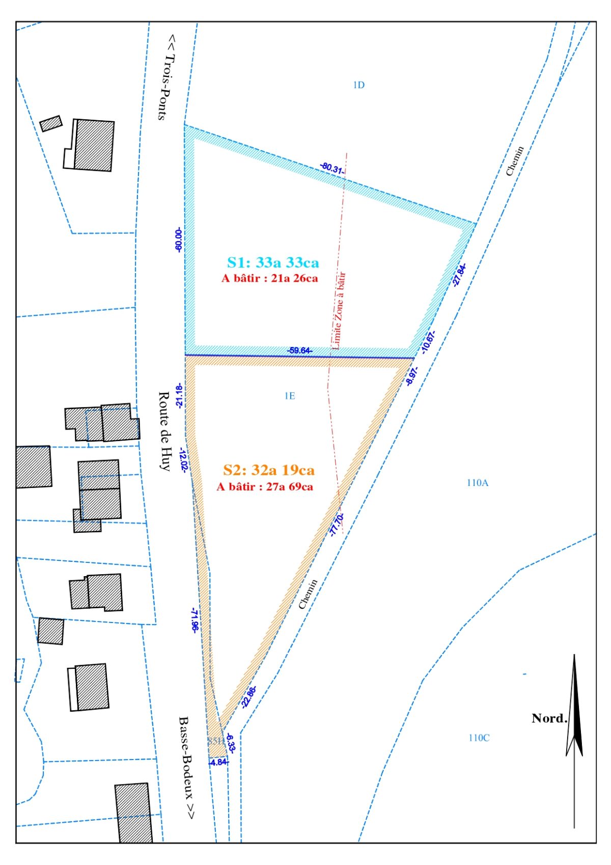
Großes Baugrundstück in Basse-Bodeux – 3.219 m²
- Energieklasse:
- Espec:
- Etotal:
- Code (Energieausweis):
- Jahrgang (Energieausweis):
- Gültig bis (Energieausweis):
Sie suchen ein großzügiges Grundstück zur Verwirklichung Ihres Bauprojekts?
Dieses Baugrundstück mit einer Fläche von 3.219 m² (laut Vermessungsentwurf – Parzelle 2) erwartet Sie in Basse-Bodeux, entlang der Route de Huy, die Trois-Ponts mit dem Ortszentrum verbindet.
Mit einer Straßenfront von über 100 Metern und einer schönen Tiefe bietet das Grundstück zahlreiche Gestaltungsmöglichkeiten. Sie können hier Ihr zukünftiges Zuhause errichten und dabei einen großzügigen Garten genießen.
Die Lage ist ideal:
Alle wichtigen Einrichtungen (Geschäfte, Schulen, Bahnhof usw.) in Trois-Ponts sind in nur 3 Autominuten erreichbar.
Zwei Bushaltestellen befinden sich in weniger als 500 Metern Entfernung und sind bequem zu Fuß zugänglich.
Die Autobahn E25 ist in nur 10 Minuten erreichbar und bietet eine schnelle Anbindung nach Lüttich oder Luxemburg.
Eine hervorragende Gelegenheit für alle, die viel Platz und eine praktische Lage suchen!
Hinweis: Es handelt sich derzeit um einen Vermessungsentwurf; die endgültige Vermessung erfolgt im Rahmen des Verkaufs. Die angegebenen Maße können daher noch geringfügig abweichen.

Der Spezialist für den An- und Verkauf von Immobilien seit 1983!
Wir sind Ihr Immobilienpartner für die Deutschsprachige Gemeinschaft, die Wallonie und die Deutsche Eifel.